عربى و دولى
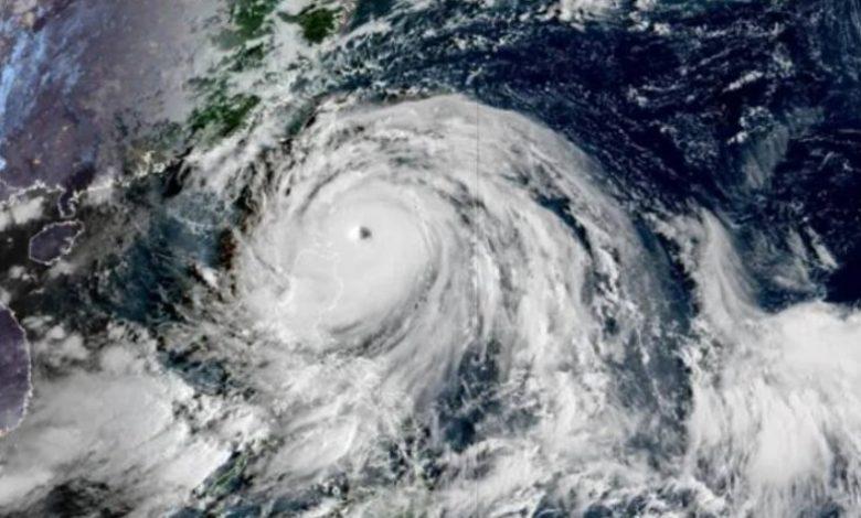
الإعصار “راجاسا” يضرب هونج كونج وجنوب الصين بأمطار غزيرة ورياح مدمرة

اجتاح الإعصار “راجاسا”، أحد أقوى الأعاصير منذ سنوات، سواحل هونج كونج بأمواج تجاوز ارتفاعها أعمدة الإنارة، وشل مظاهر الحياة على الساحل الجنوبي للصين صباح اليوم الأربعاء، بعدما خلف دمارا في تايوان والفلبين.
وأعلنت تايوان مقتل 14 شخصا، فيما سجلت الفلبين 3 وفيات جراء مسار الإعصار بين البلدين.
وأيقظت الرياح العاتية سكان هونج كونج في الساعات الأولى من الصباح.
كما أغلقت هونج كونج وماكاو، مركز الكازينوهات المجاور، المدارس ورحلات الطيران، مع إغلاق عدد من المتاجر.
ولجأ مئات الأشخاص إلى مراكز إيواء مؤقتة في كلتا المدينتين، فيما أصيب شخص في ماكاو.




